Skip to main content

Land Near Ski And Golf Place

Interested in developing nice size of land close to the capital Sofia? Have a second to see this offer from us!

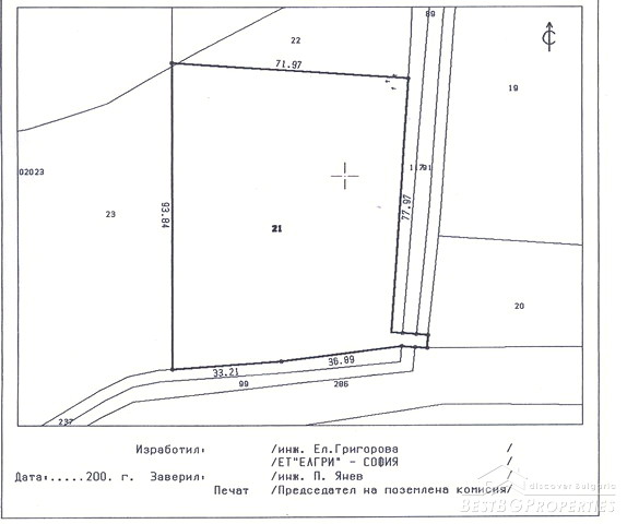
This is a large plot of land of 6 100 sq m situated just 2 km away from the Motorway Sofia-Burgas. The land can be developed for various purposes. Currently the land is agricultural and the status has to be changed. Our solicitors can assist you in this matter and help you turn it into a building plot! The property has road access. Water and electricity are close by. There is a mountain view from the lot.

This good size offers many opportunities for people really interested in developing in Bulgaria. On the other hand simply purchasing land is also a profitable investment having in mind the increasing value of the properties each year. After changing the status the land can be divided and developed at stages. The price is 65 EUR/sq m.

Don’t forget that the city is 9 km away and there are golf courses 15 minutes away. Should you require more details, feel free to contact us!

ID: 3016
Property Status:  Sold
District:  Sofia
Price Euro:  €400,400
Price GBP:  £348,108
Price USD:  $446,926
Category:  Development land
Plot Size :  6,160m 2
Extras
Location:  In the capital Sofia, Near ski resort, Near town, Near highway, Near mountain
Published:  Wednesday, February 13, 2008
 

Contact us in regards to this property

 
 

 
 

SIMILAR PROPERTIES

 

Apartment for sale in the city ​​of Sofia, Ovcha Kupel qureter. The apartment is on the 5th floor out of 5 in the building. The building is gasified, brick construction, finished in 2021. The apartment has a total living area of 120 sq m (clean living space - 71 sq m, terraces - 37 sq m, shared parts – 12 sq m). Sold fully finished with the highest quality materials, furnished to the last detail. The apartment consists of a spacious entrance hall with mirror and marble cladding, a hanger and a shoe cabinet. There is a living room with a kitchenette, two bedrooms, a bathroom with a toilet, a wet room and a spacious corner terrace with landscaping and a barbecue, which can be accessed from every room. Additional details include: Living room - Italian genuine leather living furniture, 65 inch Sony OLED smart TV. Kitchenette - marble worktop and marble tiles, built-in ceramic hobs, oven, dishwasher, sink, refrigerator with freezer and hood, custom kitchen cabinets, marble table with 4 chairs, Viessmann gas boiler. Bedroom 1 - three-wing wardrobe, Italian double bed, 2 pcs. bedside tables with night lamps, 43 inch SONY smart TV, natural parquet. Bedroom 2 - used as a dressing room, with a large three-wing wardrobe, a compact sofa bed, a dressing table with a mirror, a 43 inch SAMSUNG TV, natural parquet floor. Bathroom - glass door, marble lining, hanging toilet bowl, hygienic shower, mirror with lighting, sink, glass shower cabin with combined multifunctional mixer shower. Wet room - latest model washer and dryer AEG 9th series, Spanish flat 80l water heater and shoe shelves. Everything is new and under warranty. The price includes two, large parking spaces with total area of 48 sq m, one in front of the other. There is video intercom, COT, video surveillance, fiber optic internet! Direct exit on Montevideo Blvd. The bus stop is 100 meters away, metro station at 200 meters away, New Bulgarian University at 500 meters, BILLA and Fantastico are also nearby.

Unique new apartment for sale in Sofia

€304,500

£264,732

$339,883

 

Bulgarian Property News

Stroiko 2000 - Fall 2010 05/10/2010
Exhibition on architecture, construction and furnishing. Stroiko 2000 trade fair for architecture, construction and furnishing.The exhibition is held in Sofia twice a year - at the end of March and October. This fall, the exhibition runs from 13 to 19 October in the National Palace of... more
 
Bulgaria Property Prices Become Realistic 22/01/2010
Encouraging news is arriving for Bulgarian property. This comes along with data in the UK from more estate agents that house prices are slightly on the move, with the Halifax reporting a sixth successive increase since the massive low during spring. Some Bulgarian banks have already reduced... more