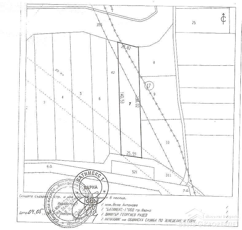
We would like to bring to your attention a plot located 200 meters from the sea coast. The land we offer is agricultural (3500 sq.m.) but is close to regulation. The property is in a small village about 30 km southern from the sea capital Varna.The settlement has recently been allocated for development as a new resort on the Black Sea coast. Offering clean air and superb sandy beaches , this place is an ideal location for family holidays and for those looking to invest in an area not previously available.There is an extensive coastal nature reserve close by including the outflow of Kamchia river.This is the right place for you if you prefer peaceful atmosphere and not overcrowded beaches.
